ავტორიზაცია / რეგისტრაცია
სააგენტოს ვებ გვერდები
ონლაინ დახმარება
ვიდეო ზარი
ქართული
english
ქართული ღვინო - ღვინის ეროვნული სააგენტო
მენიუ
ჩვენ შესახებ
ძირითადი საქმიანობა
მენეჯმენტი
სტრუქტურა
ქართული ღვინო
ქვევრის ღვინო
ჯიშები
ღვინის კომპანიები და მარნები
ადგილწარმოშობის დასახელების ღვინოები
მევენახეობა მეღვინეობის რეგიონები
რთველი
ღონისძიებები
ღონისძიებები
საერთაშორისო გამოფენები
დეგუსტაციები
სიახლეები
საჯარო ინფორმაცია
კანონმდებლობა
პროგრამები
პროაქტიულად გამოსაქვეყნებელი ანგარიშები
ბმულები
ვაკანსია
პერსონალურ მონაცემთა დაცვის ოფიცერი
გალერეა
ვიდეო გალერეა
კონტაქტი
სიახლეები
სიახლეები
filter form
კატეგორია
"საქართველო ღვინის სამშობლო" - ბორდო
ექსპორტი
გამოფენა
დეგუსტაცია
რთველი
ვენახების კადასტრი
ღვინის ტური
საკანონმდებლო
ზოგადი
კონკურსი
ფესტივალი
"საქართველო ღვინის სამშობლო" - ტოკიო
ანონსი
ხარისხის კონტროლი
ადგილწარმოშობის დასახელება
ადგილობრივ ბაზარზე პოპულარიზაცია
ზოგადი
05.11.2015
ექსპორტის 10 თვის მონაცემები
ზოგადი
05.11.2015
ქართულმა ღვინოებმა ჰონგ-კონგის გამოფენაზე უმაღლესი ჯილდოები მოიპოვეს
ზოგადი
27.10.2015
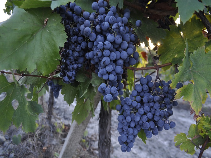
რთველის შეჯამება
რთველი
27.10.2015
რთველის შეჯამება
რთველი
23.10.2015
რთველის საკოორდინაციო შტაბები 25 ოქტომბერს დაიხურება
ზოგადი
23.10.2015
რთველის საკოორდინაციო შტაბები 25 ოქტომბერს დაიხურება
ზოგადი
20.10.2015
ქართული ღვინის პრეზენტაცია ვაშინგტონში
ზოგადი
16.10.2015
რთველი რაჭაში გრძელდება, კახეთში კი დასასრულს მიუახლოვდა
რთველი
16.10.2015
რაჭაში რთველი გრძელდება, კახეთში კი დასასრულს მიუახლოვდა
««
«
…
128
129
130
131
132
133
134
135
136
137
…
»
»»
ქართული ღვინო
ვენახების კადასტრი